(39) 095.7494570 - (39) 327.2699001
Viale Della Costituzione 1/E . (Zona Cinema Planet) - 95125 Catania
[email protected]

Luminoso Appartamento con Garage Aci San Filippo

Via Croce, 95022 Aci Catena CT, Italia

Caratteristiche

  • Balconi
  • Garage
  • Terrazza

Dettagli

Condividi questo immobile!

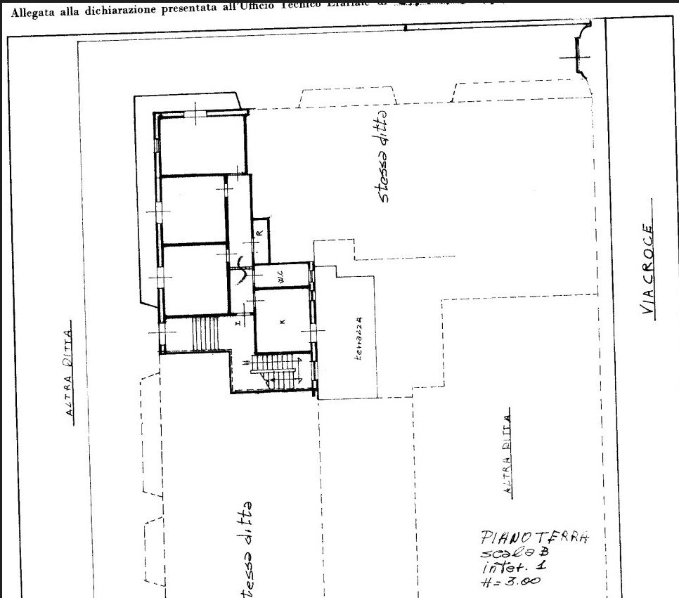
In posizione strategica e servitissima, a pochi minuti dal cuore del paese, proponiamo in vendita esclusiva un ampio appartamento di 132 m² commerciali (120 m² calpestabili) al piano rialzato, situato all’interno di un curato complesso residenziale composto da tre palazzine, ognuna con sole otto unità abitative. Un contesto tranquillo, ordinato e perfetto per chi cerca comodità, privacy e qualità della vita. All’ingresso si viene accolti da un ampio disimpegno, che introduce alla cucina abitabile con veranda e accesso diretto a una splendida terrazza di 32 m², perfetta per pranzi all’aperto, relax e momenti conviviali. Un generoso corridoio conduce alle altre stanze: una camera singola, una spaziosa camera matrimoniale e un luminoso soggiorno, tutti con affaccio sul balcone perimetrale di circa 25 m², che regala luce, ariosità e continuità tra interno ed esterno. Completano la zona notte un bagno finestrato e un comodo ripostiglio. L’immobile, grazie alla doppia esposizione e all’orientamento est, gode di una luminosità naturale costante e di un ambiente sempre ben ventilato. A completare la proprietà, un box singolo di 16 m² situato proprio sotto l’appartamento e compreso nel prezzo. L’abitazione si presenta in buono stato di manutenzione, con impianti elettrico e idrico recentemente rifatti e aria condizionata già installata. Questa soluzione è ideale per famiglie, coppie o professionisti che desiderano un’abitazione spaziosa, luminosa e comoda a tutto. Contattaci subito per fissare un appuntamento e scoprire dal vivo tutto il potenziale di questo appartamento unico!

Planimetria

WhatsApp Image 2025-11-03 at 18.52.15.jpeg

  • ID: 18027
  • Views: 89

Richiedi informazioni

    Autorizzazione al trattamento dei tuoi dati personali ai sensi dell’art. 13 del D.Lgs. n. 196/2003 e al Regolamento UE n. 2016/679 definito GDPR.


    WeCreativez WhatsApp Support
    Hai bisogno di informazioni,
    Salve, come posso aiutarti?